釣行の概要
- 釣り人
- 𝑵(えぬ)
- 日時
- 2026年02月14日(土) 16:41〜16:41
- 釣果投稿
- 1 釣果
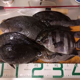
- 釣った魚
- 天気
- 14.0℃ 南 2.2m/s 1018hPa
- 都道府県
- エリア
- 高知県東部
- 潮名-月齢
- 中潮 26.3
マップの中心は釣果のポイントを示すものではありません。
釣行の内容
-
- 16:41 釣行開始
-
- 高知県東部 で釣り開始
-
- 16:41 釣行終了
※公開されている釣果のみ表示しております。非公開釣果、メモは表示されません。
※プロフィールの年間釣行数は非公開釣果を含むため、表示日数が異なる場合があります。
※プロフィールの年間釣行数は非公開釣果を含むため、表示日数が異なる場合があります。
𝑵(えぬ)の2026年02月の釣行
2026年02月
14日(土)
16:41〜16:41
1投稿
06日(金)
15:24〜20:21
2投稿
03日(火)
17:33〜17:33
1投稿
01日(日)
09:17〜09:17
1投稿
14日(土)
16:41〜16:41
1投稿
06日(金)
15:24〜20:21
2投稿
03日(火)
17:33〜17:33
1投稿
01日(日)
09:17〜09:17
1投稿
高知県東部の他の釣り人の釣行
2026年02月
14日(土)
08:59〜12:32
1投稿
Red.F さんの釣行
13日(金)
19:07〜19:49
3投稿
チニンガーーZ さんの釣行
13日(金)
18:29〜18:29
1投稿
おじゃこ丸 さんの釣行
10日(火)
15:17〜15:17
1投稿
つりニキ💕 さんの釣行
クチブトグレの他の釣り人の釣行
2026年02月
14日(土)
16:11〜16:11
1投稿
アングラー T さんの釣行
14日(土)
兵庫県豊岡市近辺
10:15〜10:15
1投稿
クルマツ さんの釣行
14日(土)
高知県幡多郡大月町近辺
10:00〜10:00
1投稿
海人山人 さんの釣行
12日(木)
11:00〜14:04
2投稿
氷華
さんの釣行
さんの釣行