メジナ
メジナ

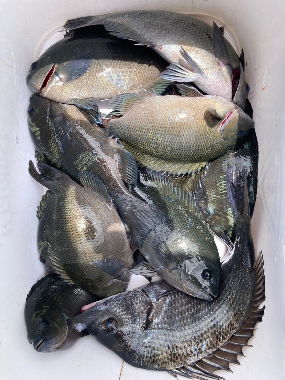
梅雨クロ狙いでしたがまだまだハシリで食いが渋かったです。22〜30センチ、その他リリース。メイタ一枚。

129閲覧

釣果データ

釣れた日
2023年05月28日 12:29
魚種
メジナ
サイズ
30.0cm
重さ
匹数
8匹
都道府県
長崎県
エリア
九十九島北部
マップの中心は釣果のポイントを示すものではありません。

ルアー

タックル

ロッド
リール
ライン

状況

天気
 26.0℃ 南 3.3m/s 1016hPa 
潮位
156.0cm
潮名
小潮
月齢
8.5
水温
水深
タナ(レンジ)

この日の釣行

日時
2023年05月28日 12:29〜12:29
12:29 釣行開始
九十九島北部で釣り開始
12:29 釣行終了

釣果はアプリから

釣りSNSアングラーズ (iOS/android)
ダウンロードページのQRコードを表示
アプリで
釣果・釣り場を
サクサク検索。
記録もできる。
今すぐアプリを
ダウンロード