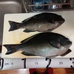
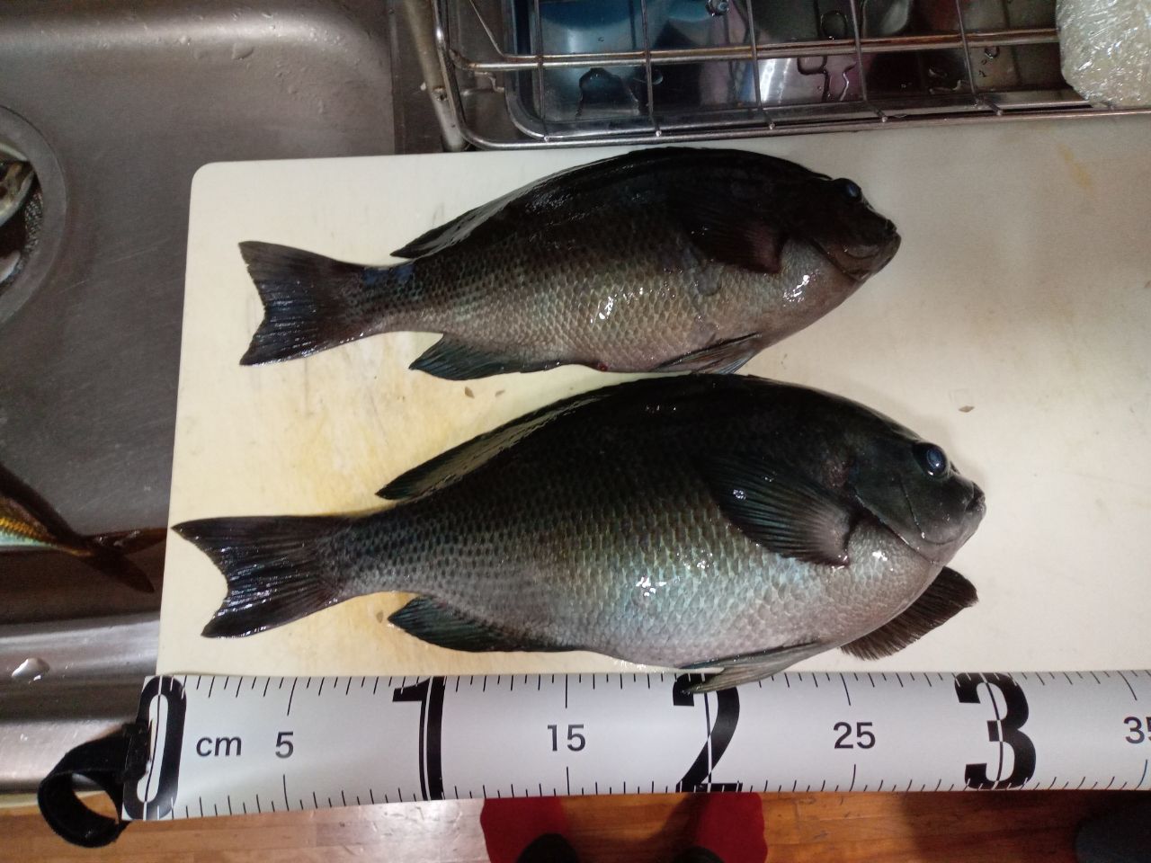
クチブトグレ

今日のゲスト😀

416閲覧
コメント6件

釣果データ

釣れた日
2025年05月10日 17:58
魚種
メジナ > メジナ > クチブトグレ
サイズ
重さ
匹数
1匹
都道府県
長崎県
エリア
佐世保湾
マップの中心は釣果のポイントを示すものではありません。

ルアー

タックル

ロッド
リール
ライン

状況

天気
 18.0℃ 西南西 6.7m/s 1007hPa 
潮位
180.6cm
潮名
中潮
月齢
12.3
水温
水深
タナ(レンジ)

この日の釣行

日時
2025年05月10日 15:00〜17:58
15:00 釣行開始
佐世保湾で釣り開始
17:58 釣行終了

釣果はアプリから

釣りSNSアングラーズ (iOS/android)
ダウンロードページのQRコードを表示
アプリで
釣果・釣り場を
サクサク検索。
記録もできる。
今すぐアプリを
ダウンロード