クロダイ
クロダイ
クロダイ

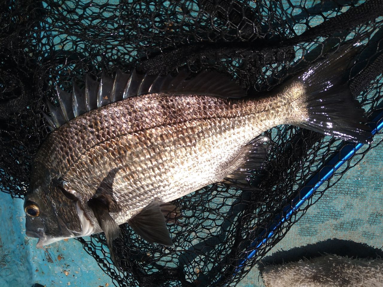
2週続けて能登のカセ釣り!前回より餌代にちょいお金をかけたが全然はまらず35センチ止まりでした…6枚リリース!
暑い中14時まで頑張った!
お隣の名人さんはアジ40センチ釣ってたらしい…

727閲覧

釣果データ

釣れた日
2025年07月22日 14:09
魚種
タイ > クロダイ
サイズ
35.0cm
重さ
匹数
12匹
都道府県
石川県
エリア
七尾北湾
マップの中心は釣果のポイントを示すものではありません。
クロダイが釣れる近場の釣果

クロダイ × 石川県

クロダイ × 七尾北湾

ルアー

その他 / オキアミ

タックル

ロッド
黒鯛工房
カセ筏師 なし
★★★★★ (0)
13 釣果
リール
黒鯛工房 カセ筏師 THEアスリート競技 65W-BG
黒鯛工房
カセ筏師 THEアスリート競技 65W-BG
3,342円~
★★★★★ (0)
14 釣果
ライン

状況

天気
 32.0℃ 西北西 3.1m/s 1015hPa 
潮位
42.0cm
潮名
中潮
月齢
26.7
水温
水深
タナ(レンジ)

この日の釣行

日時
2025年07月22日 14:09〜14:09
14:09 釣行開始
七尾北湾で釣り開始
黒鯛工房
クロダイコウボウ カセ筏師 なし THEチヌLimitedプロタイプ5尺
黒鯛工房
クロダイコウボウ カセ筏師 THEアスリート競技 65W-BG
14:09 釣行終了

釣果はアプリから

釣りSNSアングラーズ (iOS/android)
ダウンロードページのQRコードを表示
アプリで
釣果・釣り場を
サクサク検索。
記録もできる。
今すぐアプリを
ダウンロード