メジナ
メジナ

朝からタコ狙いでタコエギング…をするも不発(エギを4本紛失)
アジングに切替える…もこちらもダメ
仕方ないので午後からトリックサビキ…にするもフグが掛かるわ掛かるわ
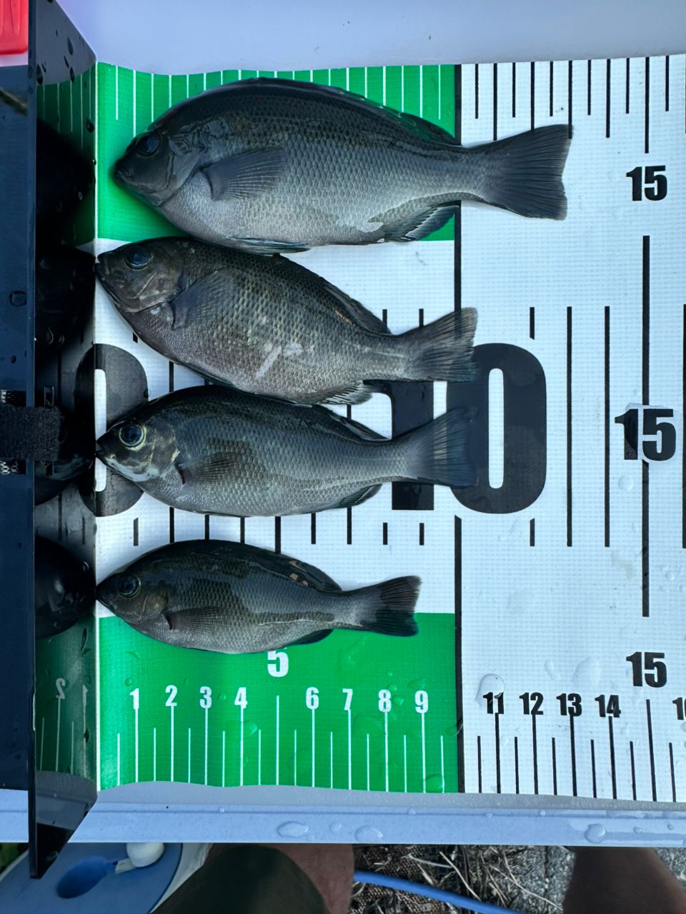
ポイントを変えてようやくメジナを4匹確保した頃には疲れ切っていたので帰りました😅

108閲覧

釣果データ

釣れた日
2025年08月17日 16:51
魚種
メジナ
サイズ
13.0cm
重さ
匹数
4匹
都道府県
静岡県
エリア
静岡県西部
マップの中心は釣果のポイントを示すものではありません。
メジナが釣れる近場の釣果

メジナ × 静岡県

メジナ × 静岡県西部

ルアー

タックル

ロッド
リール
ライン

状況

天気
 31.0℃ 南西 5.8m/s 1013hPa 
水位
前日雨量
0.0mm
放水量
水温
水深
タナ(レンジ)

この日の釣行

日時
2025年08月17日 16:51〜16:51
16:51 釣行開始
静岡県西部で釣り開始
16:51 釣行終了

釣果はアプリから

釣りSNSアングラーズ (iOS/android)
ダウンロードページのQRコードを表示
アプリで釣果投稿する
アプリで
釣果・釣り場を
サクサク検索。
記録もできる。
今すぐアプリを
ダウンロード