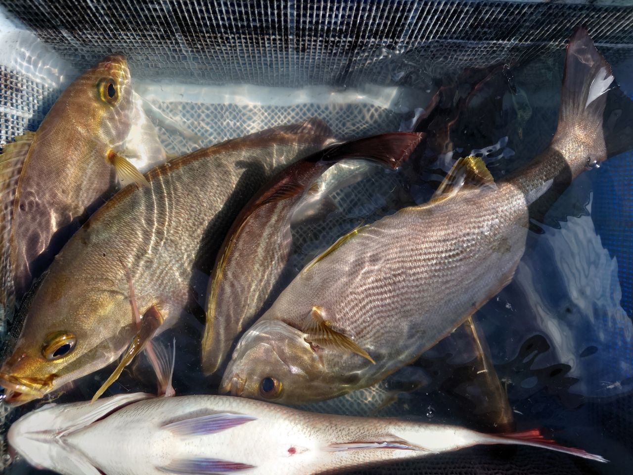
6/5 イサキ〜夜焚きイカ
釣果データ
マップの中心は釣果のポイントを示すものではありません。- イサキが釣れる近場の釣果
タックル
- ロッド
-
-
SHIMANO
- シーマイティー see
- 13,203円~
- 19 釣果
-
SHIMANO
- リール
-
-
SHIMANO
- 17フォースマスター 3000XP
- 194 釣果
-
SHIMANO
- ライン
状況
- 天気
- 23.0℃ 西北西 3.3m/s 1012hPa
- 潮位
- 104.3cm
- 潮名
- 長潮
- 月齢
- 9.0
- 水温
- 水深
- タナ(レンジ)
この日の釣行
- 日時
- 2025年06月05日 16:19〜16:19
-
- 16:19 釣行開始
-
- 響灘で釣り開始
-
-
SHIMANO
シマノ シーマイティー see シーマイティ -
- 16:19 釣行終了
KODAMA-Gさんの最近の釣果 すべて見る
響灘の他の釣り人の釣果 すべて見る
イサキの他の釣り人の釣果 すべて見る
この釣果の釣り人について
釣果はアプリから
釣りSNSアングラーズ (iOS/android)