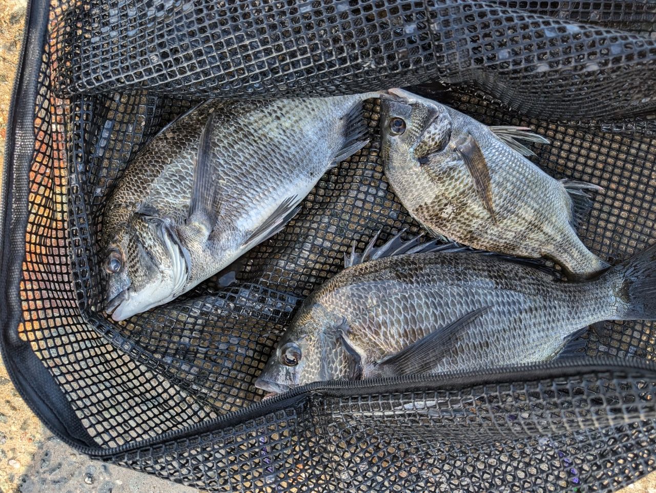
クロダイ
クロダイ

嫁さんも初チヌGET
暑かったけど楽しかった!

268閲覧

釣果データ

釣れた日
2025年07月27日 09:32
魚種
タイ > クロダイ
サイズ
32.0cm
重さ
匹数
1匹
都道府県
兵庫県
エリア
大阪湾
マップの中心は釣果のポイントを示すものではありません。
クロダイが釣れる近場の釣果

クロダイ × 兵庫県

クロダイ × 大阪湾

ルアー

タックル

ロッド
SHIMANO ラディックス RADIX 2.0―530
SHIMANO
ラディックス RADIX 2.0―530
36,500円~
★★★★★ (0)
38 釣果
リール
SHIMANO
23ビービーエックス デスピナ C3000D
★★★★★ (0)
5 釣果
ライン

状況

天気
 30.0℃ 南東 1.4m/s 1010hPa 
潮位
151.0cm
潮名
中潮
月齢
2.3
水温
水深
タナ(レンジ)

この日の釣行

日時
2025年07月27日 09:32〜09:32
09:32 釣行開始
大阪湾で釣り開始
SHIMANO
シマノ ラディックス RADIX 2.0―530
SHIMANO
シマノ 23ビービーエックス デスピナ C3000D BB-Xデスピナ
09:32 釣行終了

釣果はアプリから

釣りSNSアングラーズ (iOS/android)
ダウンロードページのQRコードを表示
アプリで
釣果・釣り場を
サクサク検索。
記録もできる。
今すぐアプリを
ダウンロード