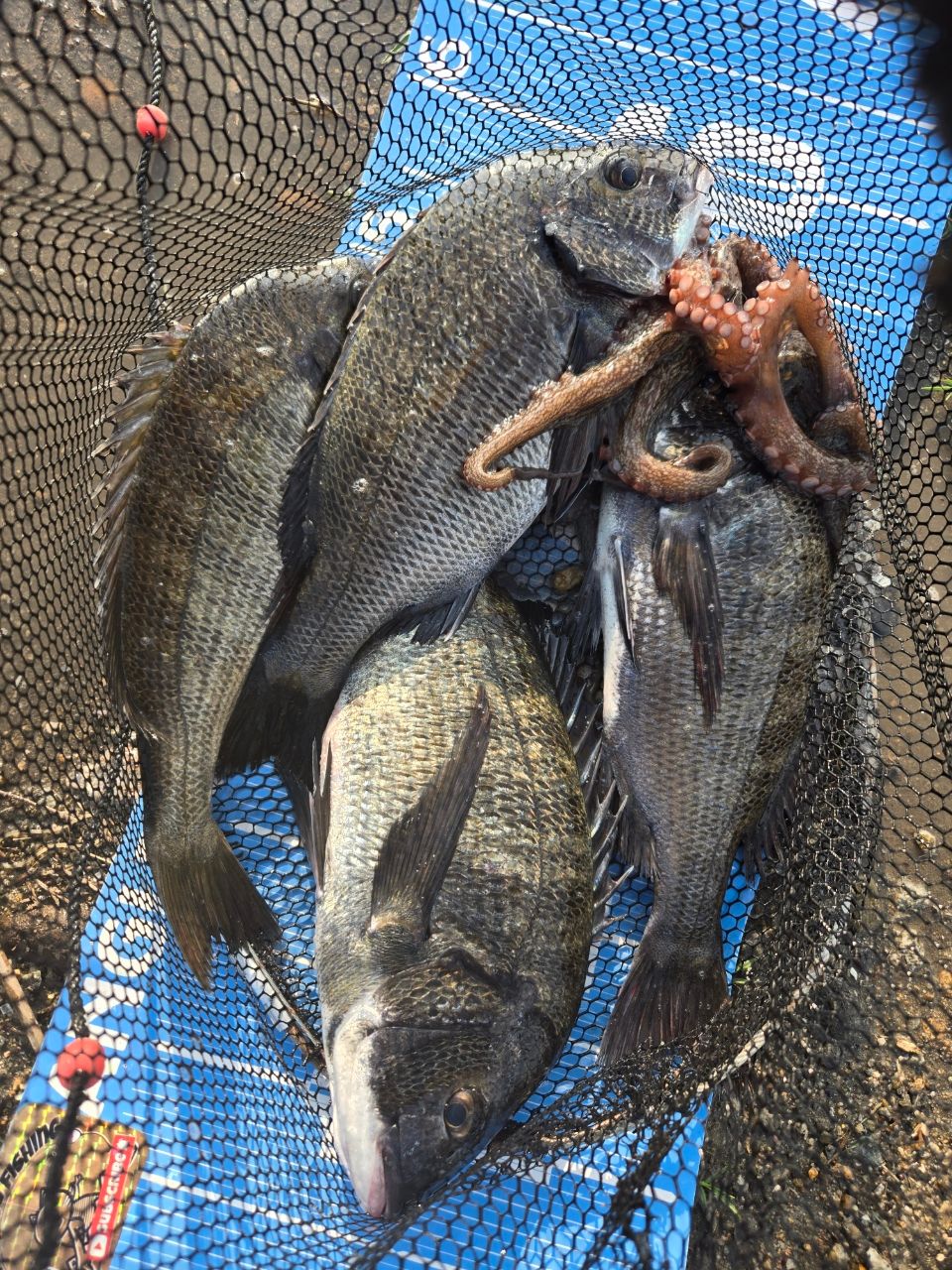
チヌ
950閲覧

釣果データ

釣れた日
2025年08月14日 17:05
魚種
タイ > クロダイ > チヌ
サイズ
重さ
匹数
1匹
都道府県
兵庫県
エリア
中島埠頭
マップの中心は釣果のポイントを示すものではありません。
チヌが釣れる近場の釣果

チヌ × 兵庫県

チヌ × 中島埠頭

ルアー

タックル

ロッド
Gamakatsu チヌ 競技SpecialⅣ 0.6号/5.3m
Gamakatsu
チヌ 競技SpecialⅣ 0.6号/5.3m
73,865円~
★★★★★
★★★★★ (1)
128 釣果
リール
DAIWA 19ラグザス 2500H-LBD
DAIWA
19ラグザス 2500H-LBD
21,321円~
★★★★★ (0)
174 釣果
ライン

状況

天気
 30.0℃ 南南西 2.8m/s 1015hPa 
潮位
112.7cm
潮名
中潮
月齢
20.3
水温
水深
タナ(レンジ)

この日の釣行

日時
2025年08月14日 12:47〜17:15
12:47 釣行開始
中島埠頭で釣り開始
Gamakatsu
がまかつ チヌ 競技SpecialⅣ 0.6号/5.3m
DAIWA
ダイワ 19ラグザス 2500H-LBD
17:15 釣行終了

この釣果の釣り人について

こうたろう663

くろねこ流チヌ釣り人
https://fishing.ne.jp/profile?member_id=27553
インスタグラム
https://www.Instagram.com/koutarou663
ユーチューブ くろねこたまごちゃんねる
私の師匠による配信です。
視聴、登録よろしくおねがいします🙇
https://www.youtube.com/channel/UCnvPHCmiXAFnmc3vS6mB9-A


釣果はアプリから

釣りSNSアングラーズ (iOS/android)
ダウンロードページのQRコードを表示
アプリで
釣果・釣り場を
サクサク検索。
記録もできる。
今すぐアプリを
ダウンロード