ボート釣行第37戦「ジギング編5」
今日はおらんかな〜と思ってたら
やっぱりいました!ESO!
しかもまあまあ太いw
持って帰ろうか悩みましたが…
色々とあるので
お帰りいただきました(^_^;)
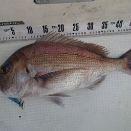
このあとも真鯛、フクラギと追加して
クーラー満タンで早上がり!
本日の釣行はここまでです。
前回のリベンジは大成功〜!(*^ー^)v
ありがとうございました♪
次回もお楽しみ✨
釣果データ
マップの中心は釣果のポイントを示すものではありません。- エソが釣れる近場の釣果
タックル
- ロッド
-
-
DAIWA
- ソルティガ SJ 61B-3・W
- 50,501円~
- 271 釣果
-
DAIWA
- リール
-
-
DAIWA
- 23ソルティガ IC 300HL-SJ
- 269 釣果
-
DAIWA
- ライン
状況
- 天気
- 24.0℃ 東南東 0.3m/s 1014hPa
- 潮位
- 46.0cm
- 潮名
- 小潮
- 月齢
- 22.3
- 水温
- 水深
- タナ(レンジ)
この日の釣行
- 日時
- 2025年08月16日 05:35〜06:30
-
- 05:35 釣行開始
-
- 富山湾で釣り開始
-
-
DAIWA
ダイワ ソルティガ IC 300HL-SJ -
- 06:30 釣行終了
オレンジハットさんの最近の釣果 すべて見る
富山湾の他の釣り人の釣果 すべて見る
エソの他の釣り人の釣果 すべて見る
釣果はアプリから
釣りSNSアングラーズ (iOS/android)