グレ

安定の網干し場で、グレ狙いです
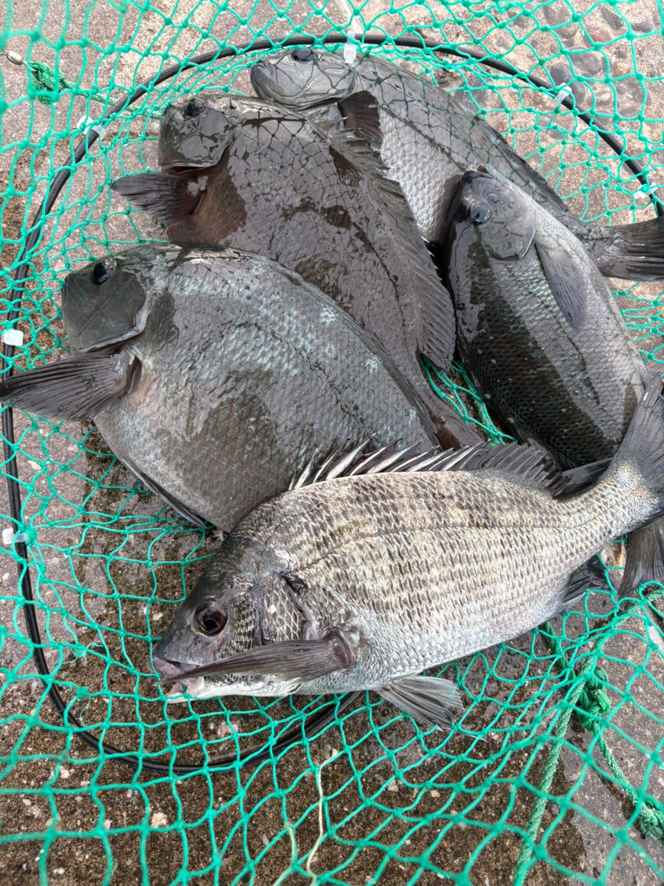
フカセ釣りは、ダメダメでしたが、紀州釣りで、チョロチョロ釣れました
フカセ釣りで、コッパグレ、アイゴをかわして、良型グレは、なかなかハードル高いです

1,545閲覧

釣果データ

釣れた日
2025年09月03日 16:47
魚種
メジナ > メジナ > グレ
サイズ
35.0cm
重さ
匹数
1匹
都道府県
静岡県
エリア
表浜名湖
マップの中心は釣果のポイントを示すものではありません。
グレが釣れる近場の釣果

グレ × 静岡県

グレ × 表浜名湖

ルアー

タックル

ロッド
リール
ライン

状況

天気
 30.0℃ 南南西 6.9m/s 1011hPa 
潮位
108.1cm
潮名
中潮
月齢
10.9
水温
水深
タナ(レンジ)

この日の釣行

日時
2025年09月03日 16:47〜16:47
16:47 釣行開始
表浜名湖で釣り開始
16:47 釣行終了

釣果はアプリから

釣りSNSアングラーズ (iOS/android)
ダウンロードページのQRコードを表示
アプリで
釣果・釣り場を
サクサク検索。
記録もできる。
今すぐアプリを
ダウンロード