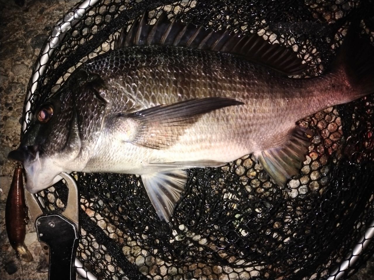
マズメに37、39センチ2枚ヒット!
釣果データ
マップの中心は釣果のポイントを示すものではありません。- クロダイが釣れる近場の釣果
ルアー
Yamashita&Maria / タイトスラローム80
タックル
- ロッド
- リール
-
-
SHIMANO
- 19セフィア SS C3000SHG
- 18,612円~
- 397 釣果
-
SHIMANO
- ライン
状況
- 天気
- 9.0℃ 北東 0.8m/s 1008hPa
- 潮位
- -5.2cm
- 潮名
- 中潮
- 月齢
- 27.1
- 水温
- 水深
- タナ(レンジ)
この日の釣行
- 日時
- 2025年03月27日 04:43〜05:51
-
- 04:43 釣行開始
-
- 富山湾で釣り開始
-
- 05:51 釣行終了
まきー(今年も腰痛おじさん)さんの最近の釣果 すべて見る
富山湾の他の釣り人の釣果 すべて見る
クロダイの他の釣り人の釣果 すべて見る
昔の富山湾の釣果
昔のクロダイの釣果
釣果はアプリから
釣りSNSアングラーズ (iOS/android)