初めての磯釣り❣️
堤防とは勝手が違うけど
磯釣りベテランさんに
色々教えていただき
なんとか、メジナ2、メイチダイ1
生きたまま磯にあるタイドプールに入れておくと
天然の水族館💗
小さいタイドプールの中で
結構仲良く泳いでるし..🐟🐟🐟
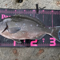
まぐれで釣れちゃったメジナは
自己記録更新の37cm✨
初魚種のメイチダイは
美味しいお魚ということで
テンションMAX〜🥰
帰ってメイチダイを食べてみたら
本当にとっても美味しいお魚でした🤤
カゴ釣り
ハリス2号1m
マダイ針10号
アミコマセ
釣果データ
マップの中心は釣果のポイントを示すものではありません。- オナガグレが釣れる近場の釣果
タックル
- ロッド
-
-
SHIMANO
- ホリデー イソ 4-450PTS
- 10,257円~
- 162 釣果
-
SHIMANO
- リール
-
-
DAIWA
- 18レガリス LT4000D-CXH
- 11,900円~
- 4751 釣果
-
DAIWA
- ライン
状況
- 天気
- 18.0℃ 東北東 4.2m/s 1005hPa
- 潮位
- 72.1cm
- 潮名
- 中潮
- 月齢
- 5.0
- 水温
- 水深
- タナ(レンジ)
この日の釣行
- 日時
- 2025年06月01日 18:37〜18:37
-
- 18:37 釣行開始
-
- 館山湾で釣り開始
-
- 18:37 釣行終了
Diana.🐡さんの最近の釣果 すべて見る
館山湾の他の釣り人の釣果 すべて見る
オナガグレの他の釣り人の釣果 すべて見る
昔のオナガグレの釣果
釣果はアプリから
釣りSNSアングラーズ (iOS/android)