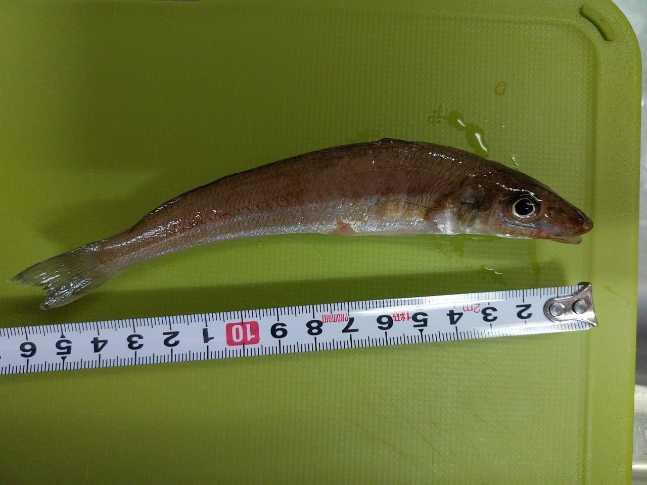
アジングで初めてキス釣れました。
アジが居なくて寂しい。
釣果データ
マップの中心は釣果のポイントを示すものではありません。タックル
- ロッド
-
-
MajorCraft
- 鯵道 5G AD5-S622L/AJI
- 21,780円~
- 2777 釣果
-
MajorCraft
- リール
-
-
DAIWA
- 20レブロス LT2000S
- 6,080円~
- 2532 釣果
-
DAIWA
- ライン
- 34 / Pinky / 0.25号/1.2lb
状況
- 天気
- 22.0℃ 東 2.2m/s 1014hPa
- 潮位
- 123.0cm
- 潮名
- 中潮
- 月齢
- 18.0
- 水温
- 水深
- タナ(レンジ)
この日の釣行
- 日時
- 2025年06月14日 04:00〜04:00
-
- 04:00 釣行開始
-
- 大阪港で釣り開始
-
-
34
サーティーフォー ピンキー 0.25号/1.2lb -
- 04:00 釣行終了
素人さかなさんの最近の釣果 すべて見る
大阪港の他の釣り人の釣果 すべて見る
キスの他の釣り人の釣果 すべて見る
昔の大阪港の釣果
釣果はアプリから
釣りSNSアングラーズ (iOS/android)
